Para hoy, a pesar de que el cielo se encuentra bastante nublado en la porción occidental del país, se espera que las precipitaciones disminuyan de manera considerable debido a que el huracán BERYL se aleja rápidamente de nuestra área de pronósticos, esperándose que una masa de aire con menor contenido de humedad ingrese a nuestro territorio, por tanto, en la mañana se esperan aguaceros y posibles tronadas en provincias como: Pedernales, Barahona, Independencia, Bahoruco, Elías Piña, San Juan, Azua, entre otras.
Luego de esto, durante la tarde, hasta primeras horas de la noche, se esperan otros incrementos de la nubosidad que descargarán aguaceros, tronadas y posibles ráfagas de viento, esta vez sobre: Hato Mayor, Monte Plata, Sánchez Ramírez, La Vega, Monseñor Nouel, San Cristóbal, San José de Ocoa, Santiago, San Juan, Elías Pina, Dajabón, entre otras.
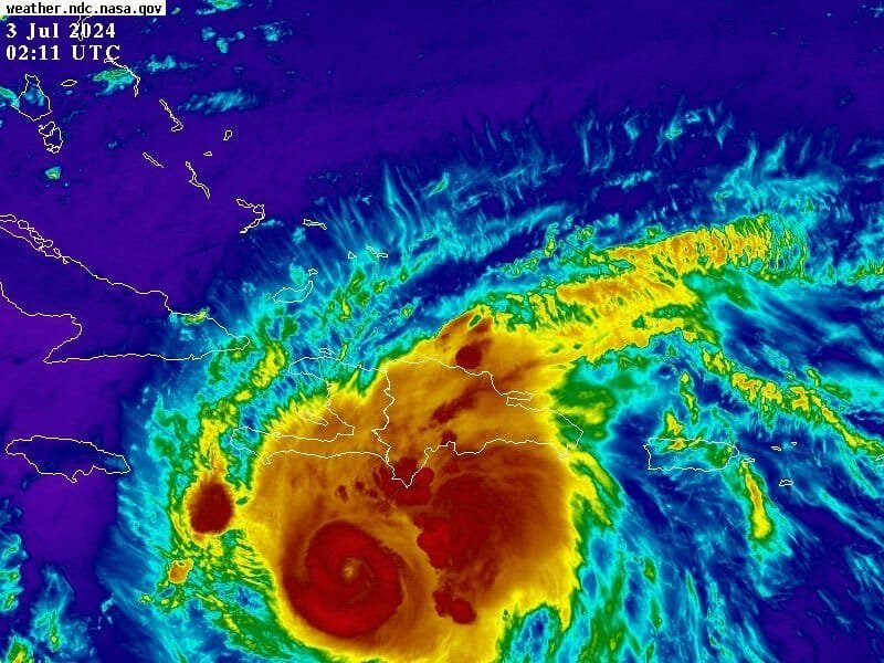
BERYL continúa como un huracán categoría 4. Se localiza en la latitud 16.6 norte y longitud 74.4 oeste, esto es, a unos 300 kilómetros al este/sureste de Kingston, Jamaica. Tiene vientos máximos sostenidos de 230 kph y se desplaza hacia el oeste/noroeste a unos 31 kph.
LA ONAMET MANTIENE EL AVISO DE CONDICIONES DE TORMENTA TROPICAL DESDE PUNTA PALENQUE (SAN CRISTÓBAL) HASTA PEDERNALES, FRONTERA CON HAITÍ. Se recomienda a los operadores de embarcaciones permanecer en puerto, desde Cabo Cabrón (Samana) hasta Isla Beata (Pedernales), debido a la peligrosidad del huracán BERYL, el cual, producirá condiciones marítimas peligrosas.
Los habitantes en zonas costeras deben tomar las precauciones de lugar y alejarse de las zonas más propensas a rompientes y posibles penetraciones en zonas costeras bajas.
La ONAMET mantiene los niveles de Alerta Meteorológica, debido a las precipitaciones esperadas durante las próximas 24 a 48 horas, ante posibles crecidas de ríos, arroyos y cañadas, inundaciones urbanas, así como posibles deslizamientos de tierra para las provincias:
NIVELES DE ALERTAS Y AVISOS METEOROLÓGICOS | |||||
ALERTA | AVISO | DESCONTINUADAS | |||
La Vega | Espaillat | Peravia | Barahona | ||
Monseñor Nouel | Puerto Plata | Azua | Pedernales | ||
Sánchez Ramírez | Santiago | La Romana | Bahoruco | ||
Hato Mayor | Hermanas Mirabal | La Altagracia | Independencia | ||
San Juan | San José de Ocoa | San Pedro de Macorís | El Gran Santo Domingo | ||
Elías Piña | San Cristóbal | Monte Plata | |||
TOTAL: 11 | TOTAL: 12 | T | |||
¿Qué se comenta en Facebook?






