El Estado Mayor de la Defensa Civil de Cuba decretó este lunes la fase de «alarma» en las provincias orientales, a la espera del impacto directo del huracán de categoría mayor Melissa este miércoles.
La Defensa Civil señala en un comunicado que están bajo esa fase las provincias del este Guantánamo, Santiago de Cuba, Holguín, Granma, Las Tunas y Camagüey. Mientras, las regiones centrales de Ciego de Ávila y Sancti Spíritus pasaron a la fase de «alerta ciclónica».
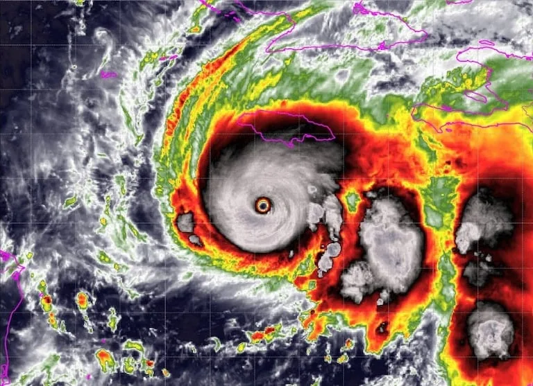
Según el aviso más reciente del Instituto de Meteorología (Insmet), el huracán Melissa es ya de categoría 5 (de 5) en la escala Saffir-Simpson y continúa ganando intensidad, alcanzando vientos máximos sostenidos de 260 kilómetros/hora, y se mueve hacia el oeste a una velocidad de 6 km/h.
En las próximas 24 horas se prevé que el fenómeno ciclónico continúe su movimiento al oeste y gire al norte-nordeste y, tras golpear a Jamaica, llegará en la madrugada del miércoles a territorio cubano por el sur de la región oriental, donde progresivamente se irán deteriorando las condiciones meteorológicas.






